道浦丸では釣果ライブラリーを公開しております。
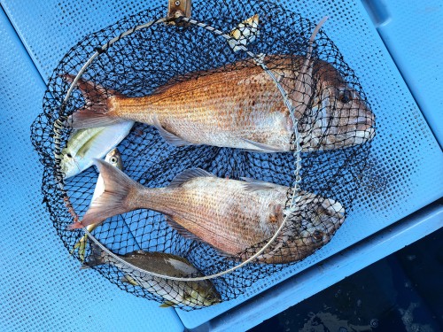
★マダイ
50~39cm 3匹
★マサバ
44~41cm 4匹
★マアジ
36cm 1匹
★潮8日小潮
水温26.4℃
★マダイ
34cm 1匹
★マアジ
37~29cm 11匹
★マサバ
43cm 1匹
★メジロ
73cm 1匹
★潮6日中潮
水温26.7℃
★マダイ
50~29cm 4匹
★マアジ
43~27cm 10匹
★マサバ
41~37cm 14匹
★サワラ
91cm 1匹
★メジロ
63cm 1匹
★潮5日中潮
水温26.0℃
★マダイ
58~35cm 6匹
★イサギ
37~36cm 3匹
★マサバ
37~36cm 2匹
★マアジ
32~29cm 2匹
★メジロ
60cm 1匹
★潮2日大潮
水温26.2℃
★マダイ
53~39cm 3匹
★イサギ
39~37cm 7匹
★マサバ
41~40cm 2匹
★メジロ
64~63cm 2匹
★マアジ
27~26cm 2匹
★ヒラスズキ
53cm 1匹
★潮1日大潮
水温26.0℃
★マダイ
46~36cm 12匹
★マアジ
35cm 1匹
★マサバ
37cm 1匹
★潮27日中潮
水温26.8℃
★お客さん無かったので1人で
釣りに行ってきました
★8時半に帰港
★マダイ(大)
57~37cm 3匹
★マアジ
39~24cm 3匹(2匹はイケス)
★イサギ
36cm 1匹
★潮25日長潮
水温26.4℃
★マダイ(大)
76~61cm 2匹
★マアジ
36~30cm 2匹
★イサギ
37~31cm 2匹
★潮24日小潮
水温25.8℃
★マダイ(大)
70cm 1匹
★潮19日中潮
水温24.9℃
★南風 強風
★マダイ
54~39cm 10匹
★メジロ、ハマチ
63~58cm 4匹
★イサギ
42~37cm 5匹
★潮13日中潮
水温25.6℃
★※ イワシが多くあり
落とし込みをしました
★メジロ、ハマチ、イサギの
写真はありません
★マダイ(大)
61cm 1匹
★マアジ
27~20cm 6匹
★マサバ
38~32cm 6匹
★イサギ
36~31cm 4匹
★潮12日中潮
水温25.7℃
★マダイ(大)
66cm 1匹
★イサギ
37~34cm 5匹
★マアジ
34~28cm 2匹
★潮9日小潮
水温26.4℃