道浦丸では釣果ライブラリーを公開しております。
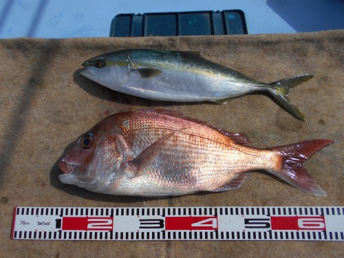
★マダイ(大)
57cm 1匹
★ハマチ
53cm 1匹
★マダイ
46~40cm 2匹
★ハマチ(写真は右側です)
53~48cm 26匹
★マアジ
39cm 1匹
★潮15日大潮
水温9.8℃
★1人で釣りに行ってきました
★ハマチ
53~48cm 26匹
★マダイ(大)
58cm 1匹
★ハマチ
48~46cm 8匹
★潮14日大潮
水温9.8℃
★風多少あり
★マダイ
49~30m 3匹
★潮12日中潮
水温9.8℃
★風多少あり
★マダイ
48~32cm 10匹
★潮6日中潮
水温10.8℃
★お客様が無かったので1人で
釣りに行ってきました
★マダイ(大)
65~46cm 2匹
★ハマチ
53~48cm 3匹
★潮5日中潮
水温10.7℃
★マダイ(良型)
52~49cm 2匹
★チダイ
35cm 1匹
★メジロ
66cm 1匹
★潮4日中潮
水温10.8℃
★マダイ
45~28cm 5匹
★潮28日中潮
水温10.8度
★お客様が無かったので1人で
釣りに行ってきました
★9時に帰港
★マダイ(良型)
53~43cm 3匹
★メジロ
64cm 1匹
★マアジ
45cm 1匹
★マサバ
46cm 1匹
★潮26日若潮
水温11.0℃
★風多少ありました
★大マダイ
81cm 65cm 2匹
★マダイ(良型)
45~44cm 2匹
★ハマチ
52~50cm 6匹
★マアジ
42cm 1匹
★潮24日小潮
水温11.0℃
★マダイ(大)
54~47cm 2匹
★マアジ
48~41cm 3匹
★ハマチ
51cm 1匹